January 23, 2018 Remains recovered of 5 workers after Oklahoma rig explosion, official says The remains of five employees who were reported missing after an Oklahoma rig explosion on Monday have been recovered, officials said during a news conference Tuesday.
January 22, 2018 Oklahoma rig explosion leaves 5 missing, emergency official says Five people were missing Monday after an explosion at an Oklahoma drilling rig sent plumes of black smoke into the sky, emergency officials said.
January 12, 2018 Mom who beat 'possessed' daughter and shoved crucifix down her throat is found guilty An Oklahoma City mom who fatally forced a crucifix and medallion down her daughter's throat because she thought the woman was possessed by the devil was convicted of first-degree murder Thursday.
January 1, 2018 Georgia beats Oklahoma in dramatic, record-breaking Rose Bowl Beating Oklahoma and the newly crowned Heisman Trophy winner, Georgia is going to the national championship game.
December 19, 2017 Oklahoma superintendent resigns amid high school football team sex assault case An Oklahoma superintendent resigned Tuesday amid an investigation of accusations that several school administrators failed to promptly report the sexual assault of a 16-year-old football player by several teammates.
December 16, 2017 Female teacher, 34, fired after filing for marriage license to wed 16-year-old boy student A high school teacher in Oklahoma was fired Thursday after she and her 16-year-old student allegedly applied for a marriage license, according to reports.
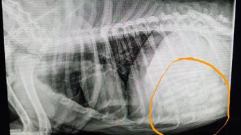
December 15, 2017 Oklahoma vet says he pulled 21 pacifiers from dog's stomach A veterinarian in Oklahoma took to Facebook last week to share what he described as “the most fascinating and exciting surgery” in his career.
December 12, 2017 Babysitter allegedly kills toddler by throwing him against walls and furniture to make him sleep A 24-year-old Oklahoma man faces upgraded charges to murder after a toddler died Monday from brutal injuries after the baby would not go to sleep, police said.
December 5, 2017 Oklahoma police release body cam footage of former state senator caught with underage male A police department in Oklahoma released body camera footage Monday of former State Senator Ralph Shortey caught in a hotel room with an underage boy, days after he pleaded guilty to child prostitution and pornography charges.
December 5, 2017 Oklahoma cop charged with murder in shooting of suicidal man An Oklahoma City police officer who fatally shot a suicidal man has been charged with second-degree murder.