Oceans November 1, 2018 Octopus moms enter death spiral before eight-armed bundles are born For an octopus mom, the miracle of life is bittersweet.
Oceans October 30, 2018 Cluster of 1,000 octopuses discovered during California deep-sea expedition A huge group of brooding octopus "moms" were spotted hovering over their eggs roughly 2 miles below the ocean's surface off the coast of California in mid-October.
Oceans October 30, 2018 Virginia fisherman spots ‘huge’ shark eating rotting whale carcass: ‘Here comes Jaws’ A fisherman off the coast of Virginia Beach snapped photos of a large great white shark eating a whale carcass.
Oceans October 25, 2018 Strange black 'pouches' washing up on Carolina beaches aren't 'pieces of plastic,' officials say Cape Hatteras National Seashore clarified Monday what the odd, plastic-looking objects some North Carolina beachgoers may have noticed really are.
Oceans October 25, 2018 'Pea-sized' baby octopuses discovered on floating trash in Hawaii Marine biologists studying Hawaii's coral reefs discovered two rust orange-colored critters floating on plastic debris.
Oceans October 24, 2018 Maryland photographer captures ‘rare’ image of huge manta ray breaching When Vickie Henry took a stroll on an Assateague Island beach last week, she never expected to see a massive sea creature briefly emerge from the water: a giant manta ray.
Massachusetts October 23, 2018 Dead whale washes ashore on Cape Cod, was famous in area A well-known fin whale measuring 54 feet in length washed up dead on a Cape Cod shore last week, environmental officials said.
Oceans October 17, 2018 California sea lions contract potentially deadly infection via urine, rescue center says A massive outbreak of a potentially deadly bacterial infection is affecting hundreds of sea lions in California, a rescue center says.
Climate October 17, 2018 WATCH: Antarctic ice makes frightening 'singing' sounds Scientists have discovered eerie "singing" sounds coming from ice shelves in Antarctica as they observed seismic changes to the Ross Ice Shelf.
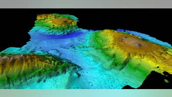
SCIENCE October 9, 2018 Stunning volcanic 'lost world' discovered deep in the ocean Scientists have discovered a stunning volcanic ‘lost world’ off the coast of Tasmania.
Oceans October 3, 2018 Maine fisherman reels in rare calico lobster, a ‘1 in 30 million’ find The odds were definitely against a Maine fisherman, who recently pulled a calico lobster from the sea in what some would say is the catch of a lifetime.