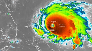
Reese May: Hurricane Dorian is a monster storm – Three critical things Americans in its path need to know
As Dorian nears, hurricane warning issued for parts of Florida; evacuations ordered on Georgia, SC coasts